تصفّح بدون إعلانات واقرأ المقالات الحصرية
اشترك الآن
|
تسجيل الدخول
21
o
بيروت
21
o
طرابلس
20
o
صور
19
o
جبيل
19
o
صيدا
22
o
جونية
20
o
النبطية
18
o
زحلة
19
o
بعلبك
22
o
بشري
16
o
بيت الدين
17
o
كفردبيان
مباشر
الأبرز
لبنان
فيديو
خاص
مقالات لبنان24
رادار لبنان24
صحافة أجنبية
ضيوف لبنان 24
إقتصاد
عربي-دولي
متفرقات
صحة
فنون ومشاهير
رياضة
منوعات
تكنولوجيا وعلوم
المرأة
أفراح ومناسبات
تعازي ووفيات
المزيد
⋮
لبنان
فيديو
خاص
إقتصاد
عربي-دولي
متفرقات
بحث
تصفّح بدون إعلانات واقرأ المقالات الحصرية
|
اشترك الآن
تصفّح بدون إعلانات واقرأ المقالات الحصرية
اشترك الآن
|
تسجيل الدخول
الرئيسية
أخباري
مباشر
الأبرز
لبنان
فيديو
خاص
مقالات لبنان24
رادار لبنان24
صحافة أجنبية
ضيوف لبنان 24
إقتصاد
عربي-دولي
متفرقات
صحة
رياضة
فنون ومشاهير
منوعات
تكنولوجيا وعلوم
المرأة
أفراح ومناسبات
صور
تعازي ووفيات
كأس العالم2022
حالة الطقس
حركة السير
إستفتاء
من نحن
للاتصال بالموقع
لإعلاناتكم
لالغاء الاشعارات
Privacy Policy
جميع الحقوق محفوظة
© Lebanon24
تسجيل الدخول
- او -
تذكرني
نسيت كلمة السر؟
تسجيل الدخول
ليس لديك حساب؟
أنشئ حساب
Advertisement
عربي-دولي
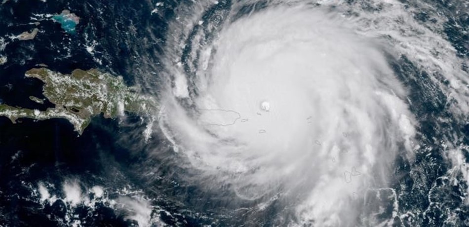
الاعصار ايرما يتراجع الى الدرجة الثانية بعد دخوله اليابسة في فلوريدا
Lebanon 24
10-09-2017
|
23:19
A-
A+
photos
0
A+
A-
تراجعت قوة الاعصار الضخم ايرما الى الدرجة الثانية، على سلم تصاعدي من خمس درجات، بعد دخوله بعد ظهر الاحد البر الاميركي من جهة الساحل الغربي لولاية فلوريدا، كما اعلنت الارصاد الجوية الاميركية. وقالت هيئة الارصاد الجوية في احدث نشرة لها عن ايرما ان عين الاعصار المدمر تقع حاليا على بعد حوالى 10 كلم شمال مدينة نايبلز الساحلية وان ايرما يتقدم باتجاه الشمال بسرعة 22 كلم/ساعة، محذرة من ان الرياح المصاحبة للاعصار ما زالت خطرة وتبلغ سرعتها 175 كلم/ساعة وانها تتوقع ايضا حدوث فيضانات خطرة.
Advertisement
مواضيع ذات صلة
بعد دخوله للمرّة الثانية إلى المستشفى... هذا ما أعلنه الفنان محمد شاكر عن وضعه الصحيّ
Lebanon 24
بعد دخوله للمرّة الثانية إلى المستشفى... هذا ما أعلنه الفنان محمد شاكر عن وضعه الصحيّ
01/05/2026 16:05:22
01/05/2026 16:05:22
Lebanon 24
Lebanon 24
وكالة فارس الإيرانية: ناقلتا نفط تحملان علم باكستان عادتا أدراجهما قبل دخول مضيق هرمز
Lebanon 24
وكالة فارس الإيرانية: ناقلتا نفط تحملان علم باكستان عادتا أدراجهما قبل دخول مضيق هرمز
01/05/2026 16:05:22
01/05/2026 16:05:22
Lebanon 24
Lebanon 24
النفط يتراجع بأكثر من 10% بعد إعلان فتح مضيق هرمز
Lebanon 24
النفط يتراجع بأكثر من 10% بعد إعلان فتح مضيق هرمز
01/05/2026 16:05:22
01/05/2026 16:05:22
Lebanon 24
Lebanon 24
بعد الجدل.. ميرتس يتراجع عن حسم عودة السوريين
Lebanon 24
بعد الجدل.. ميرتس يتراجع عن حسم عودة السوريين
01/05/2026 16:05:22
01/05/2026 16:05:22
Lebanon 24
Lebanon 24
تابع
قد يعجبك أيضاً
إنتهت المهلة.. "بوكو حرام" تهدد بذبح النساء والأطفال: "التفاوض سقط"!
Lebanon 24
إنتهت المهلة.. "بوكو حرام" تهدد بذبح النساء والأطفال: "التفاوض سقط"!
08:30 | 2026-05-01
01/05/2026 08:30:16
Lebanon 24
Lebanon 24
8 آلاف قتيل في أسبوع واحد.. موسكو تنشر الحصيلة من الجبهة الأوكرانية
Lebanon 24
8 آلاف قتيل في أسبوع واحد.. موسكو تنشر الحصيلة من الجبهة الأوكرانية
08:23 | 2026-05-01
01/05/2026 08:23:51
Lebanon 24
Lebanon 24
في لندن.. مثول رجل أمام محكمة لمهاجمته شخصين يهوديين
Lebanon 24
في لندن.. مثول رجل أمام محكمة لمهاجمته شخصين يهوديين
07:56 | 2026-05-01
01/05/2026 07:56:01
Lebanon 24
Lebanon 24
مأزق "الستين يوماً"... إدارة ترامب تناور قانونياً لتمديد العمليات ضد إيران
Lebanon 24
مأزق "الستين يوماً"... إدارة ترامب تناور قانونياً لتمديد العمليات ضد إيران
07:55 | 2026-05-01
01/05/2026 07:55:45
Lebanon 24
Lebanon 24
لإزالة "ألغام هرمز".. واشنطن تستعين بـ"الذكاء الاصطناعي"
Lebanon 24
لإزالة "ألغام هرمز".. واشنطن تستعين بـ"الذكاء الاصطناعي"
07:16 | 2026-05-01
01/05/2026 07:16:54
Lebanon 24
Lebanon 24
Advertisement
الأكثر قراءة
ثلوج وأمطار طوفانية... هذا ما كشفه الأب خنيصر عن المنخفض الذي سيضرب لبنان
Lebanon 24
ثلوج وأمطار طوفانية... هذا ما كشفه الأب خنيصر عن المنخفض الذي سيضرب لبنان
14:15 | 2026-04-30
30/04/2026 02:15:22
Lebanon 24
Lebanon 24
الجيش الإسرائيليّ دخل إلى بلدة لبنانيّة... ماذا طلب من السكان القيام به خلال مهلة ساعتين؟
Lebanon 24
الجيش الإسرائيليّ دخل إلى بلدة لبنانيّة... ماذا طلب من السكان القيام به خلال مهلة ساعتين؟
11:08 | 2026-04-30
30/04/2026 11:08:43
Lebanon 24
Lebanon 24
هجمات كبرى... موقع أميركيّ يكشف ما يُخطّط له ترامب في إيران
Lebanon 24
هجمات كبرى... موقع أميركيّ يكشف ما يُخطّط له ترامب في إيران
12:00 | 2026-04-30
30/04/2026 12:00:00
Lebanon 24
Lebanon 24
وثيقة سريّة للغاية عن الخميني... ماذا تضمّنت؟
Lebanon 24
وثيقة سريّة للغاية عن الخميني... ماذا تضمّنت؟
13:29 | 2026-04-30
30/04/2026 01:29:31
Lebanon 24
Lebanon 24
بالصورة... الموت يُؤلم مصمماً لبنانيّاً عالميّاً بأقرب الناس
Lebanon 24
بالصورة... الموت يُؤلم مصمماً لبنانيّاً عالميّاً بأقرب الناس
15:00 | 2026-04-30
30/04/2026 03:00:00
Lebanon 24
Lebanon 24
أخبارنا عبر بريدك الالكتروني
بريد إلكتروني غير صالح
إشترك
أيضاً في عربي-دولي
08:30 | 2026-05-01
إنتهت المهلة.. "بوكو حرام" تهدد بذبح النساء والأطفال: "التفاوض سقط"!
08:23 | 2026-05-01
8 آلاف قتيل في أسبوع واحد.. موسكو تنشر الحصيلة من الجبهة الأوكرانية
07:56 | 2026-05-01
في لندن.. مثول رجل أمام محكمة لمهاجمته شخصين يهوديين
07:55 | 2026-05-01
مأزق "الستين يوماً"... إدارة ترامب تناور قانونياً لتمديد العمليات ضد إيران
07:16 | 2026-05-01
لإزالة "ألغام هرمز".. واشنطن تستعين بـ"الذكاء الاصطناعي"
07:00 | 2026-05-01
خطوة طارئة أميركية… هل تنجح في كبح أسعار النفط؟
فيديو
بعد طلاقها للمرة الثالثة.. هذا ما كشفته إعلامية وملكة جمال سابقة (فيديو)
Lebanon 24
بعد طلاقها للمرة الثالثة.. هذا ما كشفته إعلامية وملكة جمال سابقة (فيديو)
04:53 | 2026-04-30
01/05/2026 16:05:22
Lebanon 24
Lebanon 24
لم تكن تضع حزام الأمان.. إعلامية تكشف إصابتها بفقدان ذاكرة مؤقت بعد تعرّضها لحادث (فيديو)
Lebanon 24
لم تكن تضع حزام الأمان.. إعلامية تكشف إصابتها بفقدان ذاكرة مؤقت بعد تعرّضها لحادث (فيديو)
04:24 | 2026-04-30
01/05/2026 16:05:22
Lebanon 24
Lebanon 24
بعد مشاهدهما الجريئة.. علاقة حب تجمع محمد دايخ وهذه الممثلة اللبنانية! (فيديو)
Lebanon 24
بعد مشاهدهما الجريئة.. علاقة حب تجمع محمد دايخ وهذه الممثلة اللبنانية! (فيديو)
02:35 | 2026-04-28
01/05/2026 16:05:22
Lebanon 24
Lebanon 24
Download our application
مباشر
الأبرز
لبنان
فيديو
خاص
إقتصاد
عربي-دولي
متفرقات
أخبار عاجلة
Download our application
Follow Us
Download our application
بريد إلكتروني غير صالح
Softimpact
Privacy policy
من نحن
لإعلاناتكم
للاتصال بالموقع
Privacy policy
جميع الحقوق محفوظة
© Lebanon24